REQUEST A TOUR If you would like to see this home without being there in person, select the "Virtual Tour" option and your agent will contact you to discuss available opportunities.
In-PersonVirtual Tour

$ 199,500
Est. payment | /mo
0.74 Acres Lot
$ 199,500
Est. payment | /mo
0.74 Acres Lot
Key Details
Property Type Commercial
Sub Type Investment
Listing Status Active
Purchase Type For Sale
MLS Listing ID 1190207
HOA Y/N No
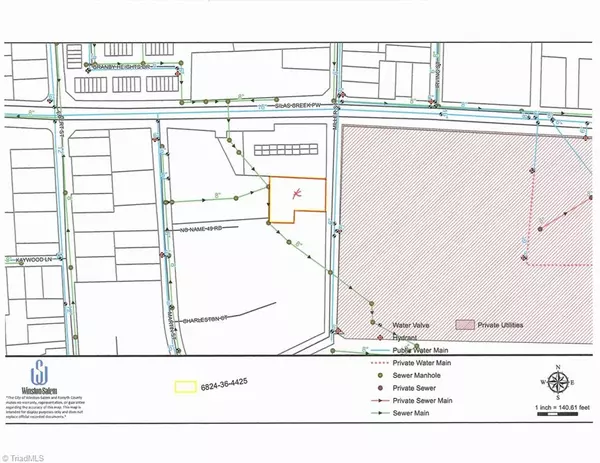
Lot Size 0.740 Acres
Acres 0.74
Property Sub-Type Investment
Source Triad MLS
Property Description
Extremely unique property. Zoned RM 18; Will possibly produce 13 mid-rise apartments or condos. Lot slopes gently from front to rear. Water and sewer easily accessible. Great zoning classification for an in-fill location. Directly across from Ardmore Hall and the Allman Center of Forsyth Tech.
Location
State NC
County Forsyth
Exterior
Landscape Description Sloping,Wooded
Building
Lot Description City Lot, Sloped, Wooded
Sewer Public Sewer
Water Public
New Construction No
Others
Special Listing Condition Owner Sale

Listed by George Munford of Berkshire Hathaway HomeServices Carolinas Realty

907 Country Club Dr, Lexington, NC, 27292, United States
GET MORE INFORMATION






